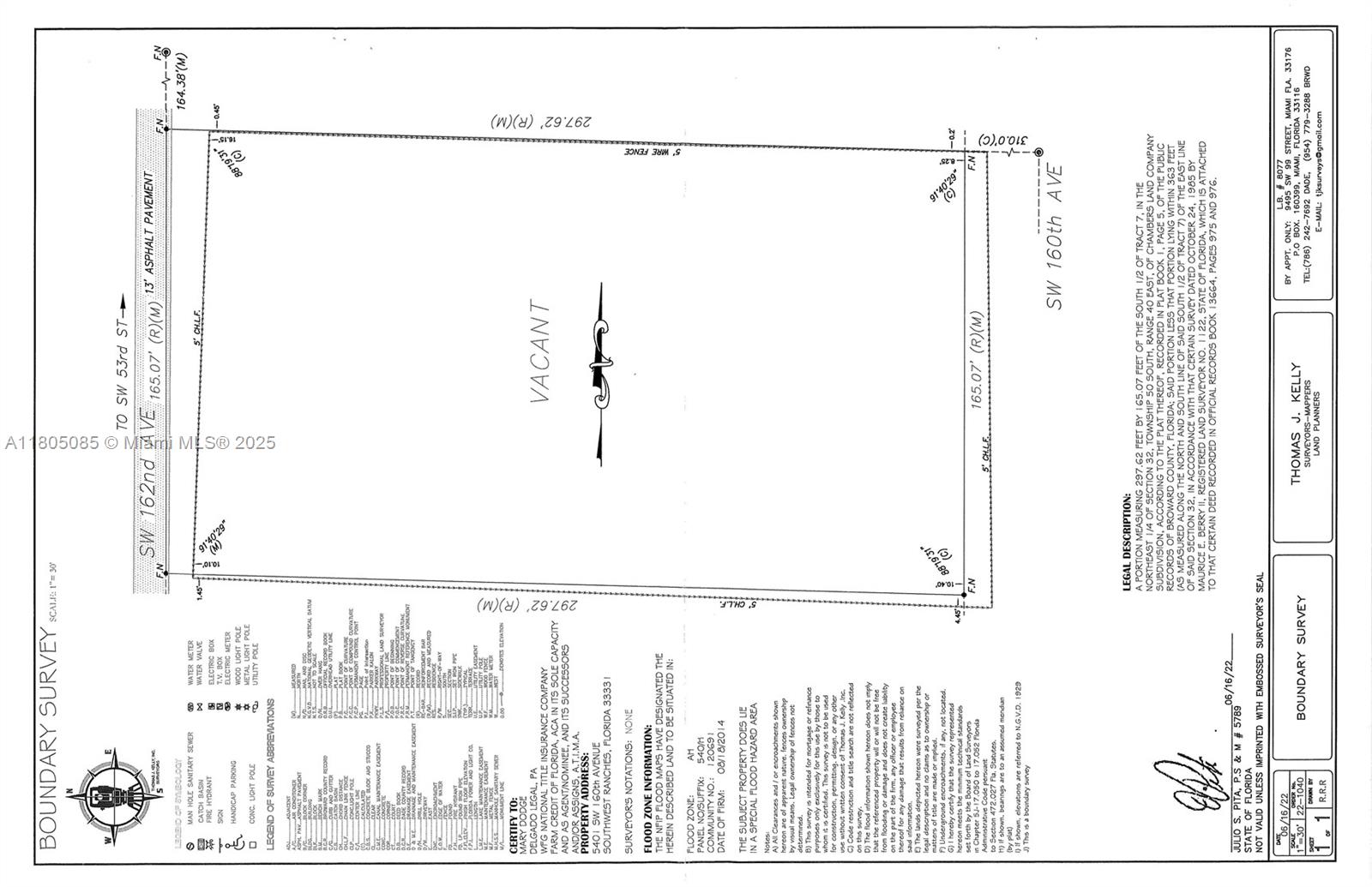
Chambers Land Co Sub Ne1 For Sale
5360 Sw 162nd Ave, Southwest Ranches, FL 33331

$720,000
Vendido
Mila Bogatov
Mila Bogatov
Corredor Inmobiliario

Detalles


  • Número MLS:A11805085
  • Tour virtual:
  • Precio: $750,000
  • Precio vendido: $720,000
  • Impuesto anual:$187
  • Fecha de listado:May 19, 2025
  • Fecha Vendido: August 27, 2025
  • Días en el Mercado:99

Descripción


Prime opportunity in Southwest Ranches! Just over 1 acre, this Agricultural Residential (A-1) zoned lot offers flexibility to build a custom home, hobby farm, or private retreat. Zoning permits single-family homes, limited agricultural use including horses, small livestock, gardens, and outbuildings like barns or stables—ideal for equestrian lovers. Property includes access to power and water, reducing development costs. Plenty of space for a pool, guest house, or workshop. Enjoy rural charm with no HOA. Rare chance to own land in one of Broward County’s most desirable communities. Whether you're looking to build now or invest in land for the future, this property offers a rare chance to secure acreage in a high-value area with tons of potential Don't miss out!

Localización


Información requerida
Mila Bogatov
Mila Bogatov
Corredor Inmobiliario