Industiral For Sale
3380 Nw 69th St, Miami, FL 33147

$5,525,000
En venta
Mila Bogatov
Mila Bogatov
Corredor Inmobiliario

Detalles


  • Número MLS:A11603265
  • Tour virtual:
  • Precio: $5,525,000
  • Impuesto anual:$14,356
  • Año de construcción:1980
  • Fecha de listado:June 20, 2024
  • Días en el Mercado:678

Descripción


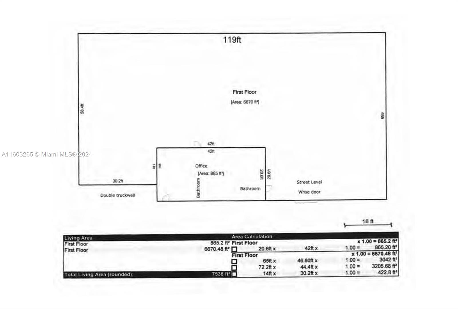
West Little River Warehouse for Sale. Standalone building. 13,080 SF total. 7,536 SF building includes 6,671 SF warehouse space and 865 SF office space. 18' clear ceiling height. 1 Grade Level and 2 Truck Well Loading. 3-Phase Electrical Power. 40-year certification completed (50-year certification underway). Parking for up to 20 Cars. Qualified Opportunity Zone. Located within Miami-Dade County's Green Technology Corridor with major public works projects underway. Lease has a 60-day exit clause.

Características


  • Piso:Concrete
  • Característica exterior:

Localización


Información requerida
Mila Bogatov
Mila Bogatov
Corredor Inmobiliario